Уважаемые жители!
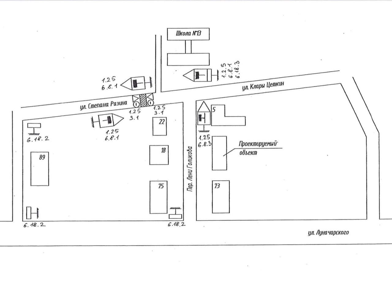
В связи с проведением работ по строительству кабельных линий для электроснабжения будет запрещено движение всех транспортных средств:
по переулку Голикова в районе д.22 с 8 часов до 17 часов 16 декабря
по улице Степана Разина в районе д. 4А по переулку Голикова (школа №13) с 8 часов до 17 часов 18 декабря.
Приносим извинения за доставленные неудобства.









































