Введение
Когда сад обретает привычный шум природы, заметна и тля — маленький вредитель, который может досаждать с ранних этапов лета. Но за этим знакомом явлением прячется простое понимание: ясная стройная система защиты помогает сохранить красоту и силу кустов и цветов без суетных мер каждую неделю.
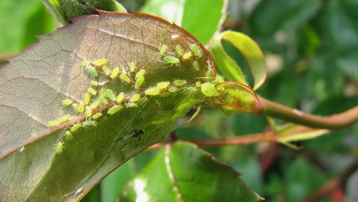
Что такое тля и почему она опасна
Тля — мелкое сосущее насекомое, теперь известное своей высокой размножаемостью и способностью переносить вирусы. Она питается соками растений, ослабляя их и снижая устойчивость к другим неблагоприятным факторам. На участке часто встречаются несколько видов, и каждый требование к защите уникально, но общий принцип остается общим: постоянный мониторинг и комплексный подход работают эффективнее спорадических действий.
Как распознать и выбрать подход
На разных растениях тля может выглядеть по-разному: от светло-зелёной до тёмной окраски. Важно обратить внимание на нижнюю сторону листьев и молодые побеги — там чаще всего начинают формироваться колонии. Если на кустах видны признаки поражения, можно применить биопрепараты или подобрать средство в зависимости от типа растения.
Средства защиты и их роль
Биопрепараты и системные средства позволяют работать крупно и без риска для человека, если соблюдать дозировки и сроки. В декоративных насаждениях подходят мягкие варианты, а для плодовых деревьев — средства, которые эффективны против конкретного вида тли. Важно чередовать препараты, чтобы избежать привыкания вредителя.
Натуральные помощники сада
Главные союзники — божья коровка и златоглазка, которые охотно поедают тлю. Муравьи, напротив, могут усложнять ситуацию, поэтому сначала стоит снизить их активность. Стоит поддерживать полезных насекомых созданием нектара и укрытий для их обитания, а также избегать лишних химикатов в период их активности.
Профилактика и устойчивый подход
Регулярный обход растений, уборка растительных остатков, удобрения и посев фацелии помогают создать условия, неблагоприятные для тли. Цена времени — меньшее количество обработок и большей уверенности в здоровье сада. В реальной жизни важен компактный набор действий, который работает год за годом.
Если сомневаетесь, какие меры выбрать, садовый центр Green Space готов подсказать оптимальные варианты под ваш участок и тип растений.





























